VERKOCHT - BOUWGROND VOOR OPEN BEBOUWING TE KOOP IN WACHTEBEKE
VERKOCHT - Bouwgrond voor nieuwbouw open bebouwing te koop in het landelijke Wachtebeke. De grond is zeer gunstig gelegen richting het rustige gehucht Overslag met groen zicht. Wachtebeke heeft als troeven het natuurreservaat Heidebos, het Kloosterbos, het Provinciaal Domein Puyenbroeck en zeer vlot bereikbaarheid richting Kust, Antwerpen, Gent en Brussel. Topligging !
Details
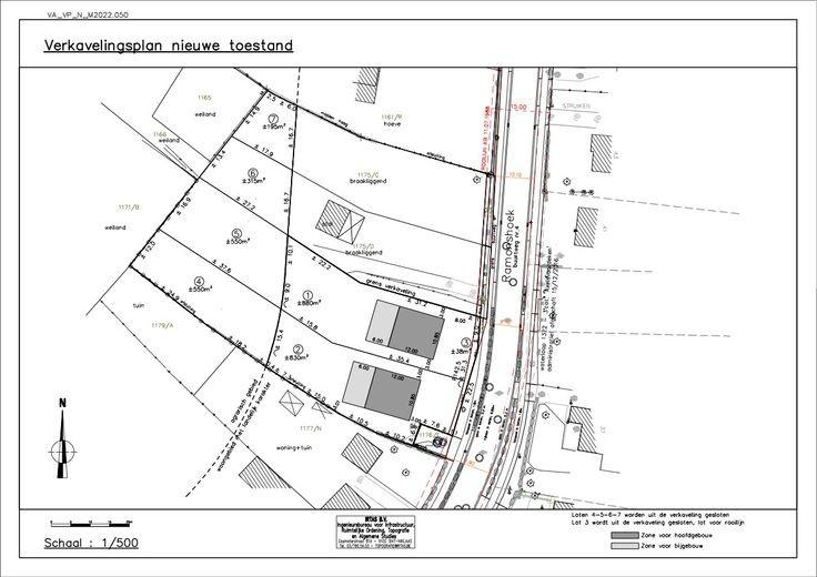
1380 m²
Bouwtype
Open
Prijs
€259.000
Type
Bouwgrond
Kenmerken
Indeling
Terreinoppervlakte
1380 m²
Energie
Bouwtechnisch
Stedenbouw
Verkavelingsvergunning
nee
Overstromingsgevoeligheid
Niet overstromingsgevoelig
Recht van voorkoop
nee
Stedenbouwkundige bestemming
Woongebied met landelijk karakter
Certificaat asbest
Geen
Gebouwscores
A
Perceelscore
A
Interesse in dit pand?
ImmoMaMo staat voor een doorgedreven service, persoonlijke betrokkenheid en steeds het geven van het beste advies op maat van de klant. Contacteer ons via e-mail of via telefoon.
Contacteer ons
Niet gevonden wat je zoekt?
Maar… je wil op de hoogte blijven van de activiteiten rond dit eigendom en andere interessante aanbiedingen?
Schrijf je in

